২৪ ঘণ্টার মধ্যে বঙ্গোপসাগরে ঘূর্ণিঝড় ‘মন্থা’ তৈরি হচ্ছে
বঙ্গোপসাগরে নিম্নচাপ দ্রুত শক্তি সঞ্চার করছে। ভারতের আবহাওয়া বিভাগ (IMD) জানিয়েছে, আগামী ২৪ ঘণ্টার মধ্যেই এই নিম্নচাপটি পূর্ণাঙ্গ ঘূর্ণিঝড়ে রূপ নিতে যাচ্ছে। নতুন ঘূর্ণিঝড়টির নাম দেওয়া হয়েছে ‘মন্থা (Mantha)’, যার অর্থ— “সুন্দর ফুল”।
রোববার (২৬ অক্টোবর ২০২৫) বিকেলে ভারতীয় আবহাওয়া অধিদপ্তরের সর্বশেষ বুলেটিনে জানানো হয়, বঙ্গোপসাগরের দক্ষিণ-পূর্ব অংশে অবস্থানরত গভীর নিম্নচাপটি দ্রুত ঘনীভূত হচ্ছে। এটি পশ্চিম-উত্তরপশ্চিম দিকে অগ্রসর হয়ে সোমবারের মধ্যেই ঘূর্ণিঝড়ে পরিণত হতে পারে।
কোথায় আছে ঘূর্ণিঝড়টির অবস্থান
সর্বশেষ তথ্য অনুযায়ী, নিম্নচাপটির কেন্দ্রীয় অবস্থান:
- পোর্ট ব্লেয়ার থেকে প্রায় ৬১০ কিলোমিটার পশ্চিমে,
- চেন্নাই থেকে ৭৯০ কিলোমিটার দক্ষিণ-পূর্বে,
- বিশাখাপত্তনম থেকে ৮৫০ কিলোমিটার দক্ষিণ-দক্ষিণপূর্বে,
- ওড়িশার গোপালপুর থেকে প্রায় ৯৫০ কিলোমিটার দক্ষিণ-দক্ষিণপূর্বে অবস্থান করছে।
এই গভীর নিম্নচাপের গতিবেগ ও দিকনির্দেশ দেখে আবহাওয়াবিদরা ধারণা করছেন, এটি ভারতের অন্ধ্রপ্রদেশ উপকূলে আঘাত হানতে পারে। বিশেষ করে মাখিলিপাটনাম ও কাকিনাদা উপকূলীয় অঞ্চলে সবচেয়ে বেশি প্রভাব ফেলবে বলে আশঙ্কা করা হচ্ছে।
প্রবল ঘূর্ণিঝড়ে রূপ নিতে পারে ‘মন্থা’
ভারতের আবহাওয়া অধিদপ্তর জানায়, সোমবার (২৭ অক্টোবর) ঘূর্ণিঝড়ে পরিণত হওয়ার পর ২৮ অক্টোবরের মধ্যে এটি প্রবল ঘূর্ণিঝড়ে (Severe Cyclone) পরিণত হবে। সমুদ্রের উষ্ণতা ও বাতাসের চাপের পার্থক্য এই ঝড়কে দ্রুত শক্তিশালী করছে।
উত্তর বঙ্গোপসাগরের আবহাওয়া এখন উত্তাল। সমুদ্রপৃষ্ঠের গড় তাপমাত্রা ৩০ ডিগ্রি সেলসিয়াসের বেশি, যা ঘূর্ণিঝড় সৃষ্টির জন্য আদর্শ পরিবেশ তৈরি করছে বলে জানিয়েছে ভারতীয় আবহাওয়া সংস্থা।
বাংলাদেশে এর সম্ভাব্য প্রভাব
বাংলাদেশ আবহাওয়া অধিদপ্তর (বিএমডি) জানিয়েছে, দক্ষিণ-পূর্ব বঙ্গোপসাগর ও তৎসংলগ্ন এলাকায় অবস্থানরত নিম্নচাপটি আরও ঘনীভূত হয়ে গভীর নিম্নচাপে পরিণত হয়েছে। এটি আরও উত্তর-পশ্চিম দিকে অগ্রসর হয়ে পূর্ণাঙ্গ ঘূর্ণিঝড়ে রূপ নেবে।
রোববার সকাল ৬টায় নিম্নচাপটির অবস্থান ছিল—
- চট্টগ্রাম সমুদ্রবন্দর থেকে ১,৩৪০ কিলোমিটার দক্ষিণে,
- কক্সবাজার থেকে ১,২৭০ কিলোমিটার দক্ষিণে,
- মোংলা থেকে ১,৩০০ কিলোমিটার দক্ষিণে,
- এবং পায়রা সমুদ্রবন্দর থেকে ১,২৬৫ কিলোমিটার দক্ষিণে।
এতে বলা হয়, কেন্দ্রের ৪৮ কিলোমিটারের মধ্যে বাতাসের সর্বোচ্চ একটানা গতিবেগ ঘণ্টায় ৫০ কিলোমিটার, যা দমকা বা ঝড়ো হাওয়ার আকারে ৬০ কিলোমিটার পর্যন্ত পৌঁছাতে পারে। ফলে বঙ্গোপসাগরের মধ্য ও গভীর অংশ এখন উত্তাল হয়ে উঠেছে।
সমুদ্রবন্দর ও জেলেদের জন্য সতর্কবার্তা
বাংলাদেশের চারটি সমুদ্রবন্দর— চট্টগ্রাম, কক্সবাজার, মোংলা ও পায়রা—কে এক নম্বর দূরবর্তী সতর্ক সংকেত দেখিয়ে যেতে বলা হয়েছে।
এছাড়া উত্তর বঙ্গোপসাগর ও গভীর সাগরে থাকা সব মাছ ধরার নৌকা ও ট্রলারকে উপকূলের কাছাকাছি এসে সাবধানতার সঙ্গে চলাচল করার নির্দেশ দেওয়া হয়েছে।
আবহাওয়াবিদ কাজী জেবুন্নেসা জানিয়েছেন, “এখনই আতঙ্কিত হওয়ার মতো পরিস্থিতি না হলেও, এটি দ্রুত ঘনীভূত হচ্ছে। তাই জেলেদের সাবধান থাকা উচিত। পরবর্তী ২৪ থেকে ৪৮ ঘণ্টা পরিস্থিতি পর্যবেক্ষণে থাকবে।”
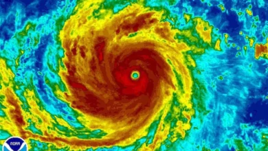
উপগ্রহ চিত্রে যা দেখা যাচ্ছে
সর্বশেষ স্যাটেলাইট চিত্রে দেখা গেছে, নিম্নচাপ কেন্দ্রটি বিশাল মেঘমালা ও ভারী বৃষ্টির অঞ্চল তৈরি করেছে। এর বিস্তার প্রায় ৫০০ কিলোমিটার ব্যাসার্ধে। মেঘের ঘনত্ব ও বায়ুর বেগ দেখে বোঝা যাচ্ছে, এটি পূর্ণাঙ্গ ঘূর্ণিঝড়ে পরিণত হতে খুব বেশি সময় নেবে না।
ভারত ও বাংলাদেশে প্রস্তুতি জোরদার
ভারতের অন্ধ্রপ্রদেশ ও ওড়িশা রাজ্য ইতোমধ্যে জরুরি প্রস্তুতি গ্রহণ করেছে। উপকূলীয় এলাকায় নৌবাহিনী, কোস্টগার্ড ও দুর্যোগ ব্যবস্থাপনা টিম প্রস্তুত রাখা হয়েছে।
ভারতীয় সেনাবাহিনীকেও সতর্ক অবস্থায় রাখা হয়েছে। রাজ্য সরকারগুলো স্থানীয় প্রশাসনকে সম্ভাব্য ঝুঁকিপূর্ণ এলাকা থেকে মানুষ সরিয়ে নেওয়ার প্রস্তুতি নিতে বলেছে।
বাংলাদেশের দুর্যোগ ব্যবস্থাপনা ও ত্রাণ মন্ত্রণালয়ও পরিস্থিতি নিবিড়ভাবে পর্যবেক্ষণ করছে। কক্সবাজার ও চট্টগ্রাম উপকূলে সিপিপি (Cyclone Preparedness Programme) সদস্যদের প্রস্তুত থাকতে বলা হয়েছে।
‘মন্থা’ নামের অর্থ ও উৎস
এই ঘূর্ণিঝড়টির নাম ‘মন্থা (Mantha)’ দিয়েছে থাইল্যান্ড। এটি একটি থাই শব্দ, যার অর্থ “সুন্দর ফুল”।
বিশ্ব আবহাওয়া সংস্থা (WMO)-এর অধীনে উত্তর ভারত মহাসাগরীয় অঞ্চলের ১৩টি দেশ পর্যায়ক্রমে ঘূর্ণিঝড়ের নাম ঠিক করে।
এই ১৩টি দেশ হলো —
বাংলাদেশ, ভারত, ইরান, মালদ্বীপ, মিয়ানমার, ওমান, পাকিস্তান, কাতার, সৌদি আরব, শ্রীলঙ্কা, থাইল্যান্ড, সংযুক্ত আরব আমিরাত ও ইয়েমেন।
প্রতিটি দেশই আগেভাগে কয়েকটি নামের তালিকা দেয়। যখন কোনো নতুন ঘূর্ণিঝড় সৃষ্টি হয়, তখন সেই তালিকা অনুযায়ী নাম ঘোষণা করা হয়।
বৃষ্টিপাত ও আবহাওয়ার প্রভাব
আবহাওয়া অফিস জানিয়েছে, ঘূর্ণিঝড় ‘মন্থা’র প্রভাবে উপকূলীয় অঞ্চলগুলোতে ভারী বৃষ্টিপাত হতে পারে।
বিশেষ করে চট্টগ্রাম, কক্সবাজার, ভোলা, পটুয়াখালী, বরগুনা ও খুলনা অঞ্চলে মাঝারি থেকে ভারী বৃষ্টির আশঙ্কা রয়েছে।
যদিও ঘূর্ণিঝড়টি সরাসরি বাংলাদেশ উপকূলে আঘাত হানার সম্ভাবনা এখনো কম, তবুও এর পার্শ্বপ্রভাবে জলোচ্ছ্বাস ও বজ্রবৃষ্টি হতে পারে।
বিশেষজ্ঞদের মতামত
আবহাওয়াবিদ অধ্যাপক ড. আতিকুর রহমান বলেন,
“বঙ্গোপসাগর এখন ঘূর্ণিঝড় সৃষ্টির জন্য অত্যন্ত উপযোগী হয়ে উঠেছে। জলবায়ু পরিবর্তনের কারণে সমুদ্রের তাপমাত্রা বেড়েছে, ফলে নিম্নচাপ দ্রুত শক্তি সঞ্চার করছে।”
তিনি আরও বলেন,
“যদি ‘মন্থা’ বাংলাদেশ উপকূলের কাছাকাছি আসে, তাহলে ২৯ থেকে ৩০ অক্টোবরের মধ্যে দক্ষিণাঞ্চলে প্রবল বৃষ্টি ও ঝড়ো হাওয়া বইতে পারে।”
বিশ্ব আবহাওয়া বিশেষজ্ঞদের সতর্কতা
আন্তর্জাতিক সংস্থা AccuWeather এবং Windy.com-এর পূর্বাভাস অনুযায়ী, এই ঘূর্ণিঝড়টি আগামী ৪৮ ঘণ্টায় আরও শক্তি সঞ্চার করবে।
এটির কেন্দ্রীয় বাতাসের গতি ঘণ্টায় ১০০ থেকে ১২০ কিলোমিটার পর্যন্ত পৌঁছাতে পারে, যা “Severe Cyclonic Storm” স্তরে পড়বে।
সতর্ক থাকুন, গুজব নয়
আবহাওয়া অধিদপ্তর সবাইকে আহ্বান জানিয়েছে, সামাজিক যোগাযোগমাধ্যমে অযাচিত তথ্য বা গুজব ছড়ানো থেকে বিরত থাকতে।
শুধু সরকারি সূত্রের তথ্য অনুযায়ী সিদ্ধান্ত নিতে অনুরোধ জানানো হয়েছে।
উপকূলীয় মানুষদের জীবন ও সম্পদ রক্ষায় সরকারের সব সংস্থা সতর্ক অবস্থায় রয়েছে বলে জানিয়েছেন দুর্যোগ ব্যবস্থাপনা প্রতিমন্ত্রী।
প্রকৃতির এই সতর্ক বার্তা
ঘূর্ণিঝড় ‘মন্থা’ এখনো বাংলাদেশের উপকূলে সরাসরি হুমকি না হলেও, প্রকৃতির এই সতর্ক বার্তাটি উপেক্ষা করা যাবে না।
সমুদ্র উত্তাল, বাতাসের বেগ বাড়ছে, আর আকাশে জমছে কালো মেঘ।
প্রকৃতি যেন আবার মনে করিয়ে দিচ্ছে— প্রস্তুত থাকলেই রক্ষা পাওয়া যায়।
MAH – 13494 I Signalbd.com



